Tuesday 14 April 2026
Almost a year ago I spoke to John Smith, president of the Northamptonshire Natural History Society (NNHS) when he was making plans for the 150 years celebration of the society. We decided a virtual visit from me followed by a practical session led by the society volunteers would work. So on Tuesday I beamed in from Brighton via Zoom to introduce them to Moss Safari.
This blog is a summary of the highlights, some answers to questions, some next steps and the PowerPoint presentation is downloadable at the end.

I collected this dry sample from my patio just two hours before the session at 7pm. I soaked it in some mineral water and when we came to observe it, it was teeming with life.

There were numerous tardigrades, dozens of rotifers and a few nematodes to tick off the microscopic Big Five list. In addition we saw testate amoebae and an assortment of UMOs (Unidentified Microscopic Organisms).
I usually present to lay people, so having a group of natural historians meant I got quite different questions to my normal sessions. In addition, I had far more, very welcome, follow up emails.
Below are some screenshots of our finds with some notes that viewers might find useful.


We came across a stationary heterotardigrade (Order: Echiniscoidea). These are usually pigmented, have thick cuticles and long hair-like ornamentation.



Eutardigrades have softer bodies, thinner cuticles and lack the ornamentation. We saw several active eutardigrades, sometime difficult to follow and focus upon as they moved through the debris.

This one below often gets described as stripy. That’s actually its internal structure showing through. Some species, like Ramazzottius, make that especially visible.

Questions
Do different mosses have different biodiversity of the microscopic Big Five?
The answer isn’t clear cut. Most moss dwelling organisms are cosmopolitan (meaning that they are found in all mosses around the globe), but any correlation between the species of microorganism and species of moss seems less agreed upon. I definitely see seasonal differences in diatoms and testate amoebae. I’m happy to be told otherwise!
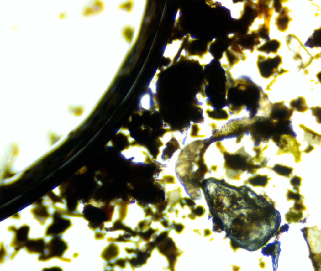
Why do the organisms gather around the air bubbles?
The picture below shows a lot of debris and organisms around the air bubble (a thick black line). There are a number or reasons, we suggested that it’s the surface tension of the water and an oxygen gradient may form. I often see unicellular organisms line up along mysterious gradients on my slides.

My most unusual find in moss…
This was a tricky question, but I settled for objects that look interesting, but are difficult to identify. These include Lepidoptera wing scales and bird feather barbs. Two examples here.


What next?
If you enjoyed the session or want to see a live Moss Safari, I am doing one session a month (Moss Safari Monthly) until June. So do sign up and join us. This month the focus is on connections. Wed 22 April 7-8 BST – £10 ticket per household – suitable for ages 8-80+.
If you would like a signed copy of the book, or stickers or tardigrade pins, please visit the Moss Safari KoFi shop.

To stay in touch with Moss Safari, you can sign up to the website for free.
Acknowledgments
Thank you to John Smith and the Northamptonshire Natural History Society for inviting me to the meeting. Thanks to the viewers who asked questions and got in touch afterwards.
